The latest European model run is in and agrees with the slight shift westward that the 10:00 a.m. National Weather Center run showed. In fact, from what I can tell, The Euro model is a fraction more west than the last NWC run, putting the center of the cone of uncertainty closer to Port Arthur than Cameron, LA. It isn't expected to grow as wide as Hurricane Ike did, but it's now expected to make landfall as a Cat 3 and may arrive a tiny bit earlier than previously expected...as in before midnight tomorrow. It's going to reach pretty far inland, too, because there's not much to block its movement. Over a 70% chance of tropical storm force winds extends as far north as at least Shelby, Rusk, Cherokee, and Houston Counties. Possibly a lot of downed trees in the Piney Woods. Mandatory evacuation of the City of Galveston issued around 8 this morning; Harris County Zones A and B under voluntary evacuation as of an hour ago.
Extra preparation steps for me: making sure guns, ammo, and computer equipment are in the safest, driest spot.
2020: And Now Hurricanes?
Moderators: carlson1, Charles L. Cotton
Re: 2020: And Now Hurricanes?
“Be ready; now is the beginning of happenings.”
― Robert E. Howard, Swords of Shahrazar
― Robert E. Howard, Swords of Shahrazar
Re: 2020: And Now Hurricanes?
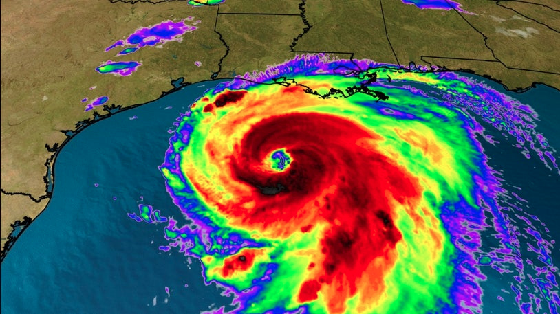
National Hurricane Center 10:00 a.m. update shows Laura now a Cat 3, sustained winds have increased to near 125 mph, and is projected to reach Cat 4 before landfall. Hurricane force winds extend 70 miles from the eye and tropical storm force winds extend 175 miles from the center. Landfall projection hasn't moved much, still zeroing in on the Texas-Louisiana border...but could still wobble before landing, and at this strength a minor wobble could be a very major deal. In the area of the greatest storm surge along the southwest Louisiana coast, the surge forecast has almost doubled in the past 36 hours: up to 18 feet of storm surge with some isolated places seeing 20 feet. The projection is that this will not only be massive at the coast (one-story structures would be completely inundated), but inland it will reach so far as to place I-10 under salt water.
Battening down hatches here and praying for those who will see the greatest impact.
Battening down hatches here and praying for those who will see the greatest impact.
“Be ready; now is the beginning of happenings.”
― Robert E. Howard, Swords of Shahrazar
― Robert E. Howard, Swords of Shahrazar
Re: 2020: And Now Hurricanes?
Increased from Cat 3 to Cat 4 just since 10:00 a.m. Maximum sustained winds have increased from near 125 to near 140 mph. Hurricane Center's 1:00 p.m. update included, "Some additional strengthening is possible this afternoon, and Laura is forecast to remain a category 4 hurricane through landfall tonight." Max peak storm surge is still 15 to 20 feet.
“Be ready; now is the beginning of happenings.”
― Robert E. Howard, Swords of Shahrazar
― Robert E. Howard, Swords of Shahrazar
-
Grayling813
- Senior Member
- Posts: 2641
- Joined: Mon Jun 24, 2019 11:18 am
Re: 2020: And Now Hurricanes?
Laura went right through the area in western LA where one of my nephews and his family lives. Fortunately they evacuated to north LA...where Laura is headed.
Update: Laura went right over nephew's house. Too many trees down in the area for any of the neighbors who are still in the area to check the house for damage.
Update: Laura went right over nephew's house. Too many trees down in the area for any of the neighbors who are still in the area to check the house for damage.
- 03Lightningrocks
- Senior Member
- Posts: 11460
- Joined: Tue Apr 08, 2008 5:15 pm
- Location: Plano
Re: 2020: And Now Hurricanes?
Oh my! Now a fire has broke out at a chemical plant in Lake Charles. It just happened so I can't find any stories on it. FOX news just said they are closing I10 in both directions. Everything is so demolished around there it might be hard for emergency response to fight the fire. Anyone finding anything on it, please post the link.
Video of it! Wow. It looks like a big one.
https://twitter.com/i/status/1299000237105664006
Video of it! Wow. It looks like a big one.
https://twitter.com/i/status/1299000237105664006
NRA-Endowment Member
http://www.planoair.com
http://www.planoairconditioningandheating.com
http://www.planoair.com
http://www.planoairconditioningandheating.com